Description
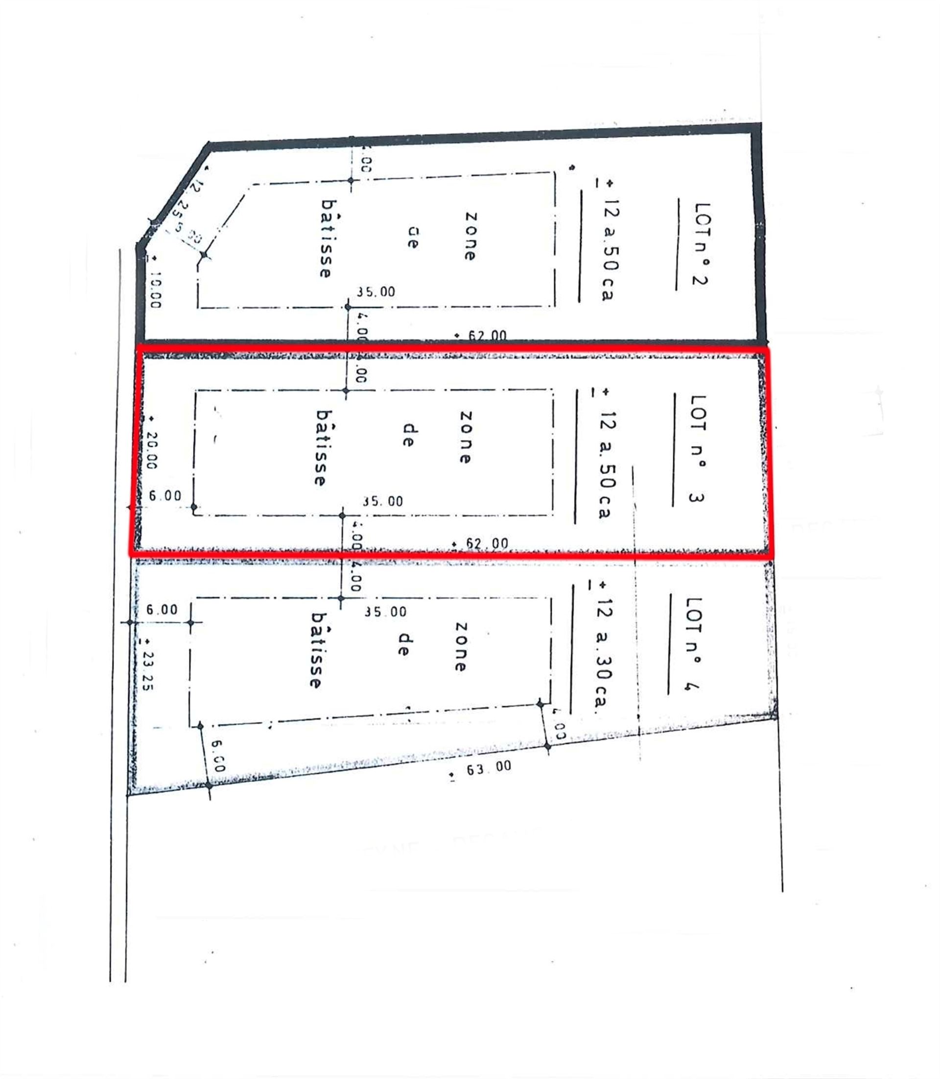
Non loin du centre de Tubize et de la gare, joli terrain plat à bâtir de plus de 12 ares. Il offre la possibilité d'y construire une belle villa avec un beau jardin. Le terrain développe 20 m de largeur et 60 m de profondeur. Faire offre à partir de 195.000€. infos et visites au 02/355.50.55.
Caractéristiques
| Prix | 195.000 € |
|---|---|
| Superficie habitable | 1225 m² |
| Superficie terrain | 12.25 ares |
| Type de bien | Terrain |
| Code postal | 1480 TUBIZE |
Détails du bien
Non loin du centre de Tubize, joli terrain plat à bâtir de plus de 12 ares. Il offre la possibilité d'y construire une belle villa avec un beau jardin. Le terrain développe 20 m de largeur et 60 m de profondeur. Faire offre à partir de 195.000€. infos et visites au 02/355.50.55.



